Uwaga! Zmiany w organizacji ruchu drogowym
Zmiana w Gruszczynie
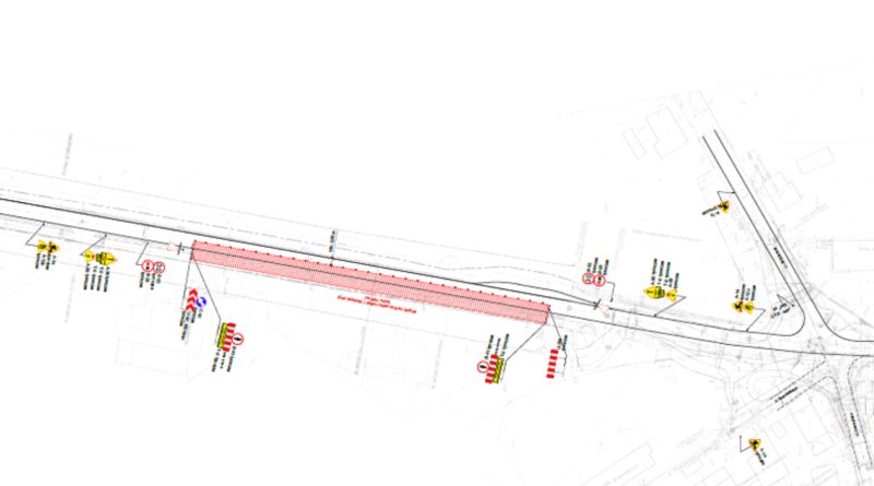
Firma Eurovia Polska S.A., jako wykonawca zadania „Rozbudowa i przebudowa drogi powiatowej 2407P (ul. Swarzędzka) w m. Gruszczyn, gm. Swarzędz” informuje, że od dnia 26.10.2016 r. zostanie wprowadzona tymczasowa organizacja ruchu na czas prowadzenia robót drogowych na drodze powiatowej nr 2407P, tj. ul. Swarzędzkiej w m. Gruszczyn.
Jednocześnie informujemy, że projekt tymczasowej organizacji ruchu, na czas prowadzenia robót posiada zatwierdzenie nr ZDP.WD.4101.630/16.JC1 z dn. 20.10.2016 r., wydane przez Zarząd Dróg Powiatowych w Poznaniu. Projekt tymczasowej organizacji ruchu został podzielony na XV etapów, aktualnie trwają prace zgodnie z etapem V (mapka w załączeniu) – czas trwania prac to ok. 4 tyg.
Na przedmiotowym odcinku robót, będą prowadzone prace w ruchu wahadłowym. Każdorazowo z rozpoczęciem nowego etapu prac, będziemy na bieżąco Państwa informować.

Zmiany 1 listopada
W dniu 1.11.2016 r. zostanie tymczasowo zmieniona organizacja ruchu:
– planuje się wprowadzić ruch jednokierunkowy na całej długości ul. Słowackiego z kierunkiem od ul. Cmentarnej do ronda im. Leszka Grajka
– planuje się wprowadzić ruch jednokierunkowy w ul. Cmentarnej na odcinku od ul. Cieszkowskiego do ul. Słowackiego.
– zaprojektowano wprowadzenie zakazu zatrzymywania się po lewej stronie (zgodnie z zaprojektowanym kierunkiem ruchu) ul. Słowackiego
Organizacja dotychczasowa zostanie przywrócona w godzinach porannych w dniu 2.11.2016 r.
W załączeniu przekazujemy mapy z naniesionymi zmianami:
/UMiG/



